循環器科

循環器科担当 保坂 浩司
当院では心臓病の診療にも力を入れております。
心臓病にはとてもたくさんの種類があり、多くの子が心臓病に罹患しています。
心臓病にはとてもたくさんの種類があり、多くの子が心臓病に罹患しています。

心臓病の診断
様々な検査を必要としますが、どの検査も負担の多くないものと言えます。
心臓超音波
心臓病診断のゴールドスタンダードです。
・心臓の内部の形態
・血流の状態
・血流の速さ
等を測定することが出来ます。心臓病診断や心拡大の評価など病態の評価をするのにとても有効です。
・心臓の内部の形態
・血流の状態
・血流の速さ
等を測定することが出来ます。心臓病診断や心拡大の評価など病態の評価をするのにとても有効です。


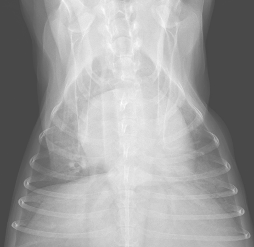
胸部レントゲン
主に
・心臓の大きさ
・肺や気管支
・肺血管
の評価を行ないます。
心拡大の基準としてガイドラインにも指針があり、とても重要な検査のひとつです。
・心臓の大きさ
・肺や気管支
・肺血管
の評価を行ないます。
心拡大の基準としてガイドラインにも指針があり、とても重要な検査のひとつです。


血液検査
動物の一般状態を把握するのに必要です。
利尿剤を使用しているような重症の子達は特に腎臓に負担がかかってくるので、各臓器への障害の程度を考慮しながら投薬内容を調節します。
また、心臓の状態を反映するバイオマーカーの検査も行なっています。心臓病の早期発見や病態の把握、病気の診断に活用しています。
利尿剤を使用しているような重症の子達は特に腎臓に負担がかかってくるので、各臓器への障害の程度を考慮しながら投薬内容を調節します。
また、心臓の状態を反映するバイオマーカーの検査も行なっています。心臓病の早期発見や病態の把握、病気の診断に活用しています。
早期に診断・治療をすることで病気とうまく付き合っていき、元気な期間を延ばすことや、今後のわんちゃん・猫ちゃんとの過ごし方についてゆっくり考えていくことができます。
また、致死的な症状は突然現れます。「昨日まで元気だったのに」ということがほとんどです。普段から病気を理解し、把握しておくことが大切です。
また、致死的な症状は突然現れます。「昨日まで元気だったのに」ということがほとんどです。普段から病気を理解し、把握しておくことが大切です。
主な心臓病
犬の僧帽弁閉鎖不全症
心臓が収縮するときに左心房と左心室の間にある弁(僧帽弁)で逆流が発生する病気です。病気が進行すると、最終的には肺水腫などの致命的な病態を示します。一般的には高齢の小型犬に多い病気です。他にも、キャバリア・キング・チャールズ・スパニエルにこの病気が多いことが有名です。
ステージ分類
| ステージA | 好発犬種 |
| ステージB | 心臓に構造的異常があるが心不全徴候なし |
| ステージB1 | 左心房拡大が認められない |
| ステージB2 | 左心房拡大を認める |
| ステージC | 心不全徴候の既往がある |
| ステージD | 難治性の心不全徴候を有する |
ACVIM(全米獣医内科学会)のガイドラインでは
ステージB2からの投薬治療が推奨されています。
また近年は外科的な治療も一般的になってきており、投薬の必要もなく元気に生活できるようになるわんちゃんも多いです。
ステージB2からの投薬治療が推奨されています。
また近年は外科的な治療も一般的になってきており、投薬の必要もなく元気に生活できるようになるわんちゃんも多いです。


正常な僧帽弁(肥厚は軽度にあり)
僧帽弁が左心房側に入り込んでいる
(逸脱している)状態
(逸脱している)状態


僧帽弁が肥厚している状態(粘液腫様変性)
色が付くモードで血液の流れ
(逆流しているかどうか)をみている
(逆流しているかどうか)をみている
肥大型心筋症
左心室の心筋が求心性(内側に向かって)肥大していく病気です。
左心室で血液を溜め込むことが出来なくなっていくため、心室の拡張障害を起こします。
猫ちゃんでの発生率が高く、6〜12ヵ月齢で4.3%、9歳以上になると29.4%の猫ちゃんが肥大型心筋症に罹患していると言われています。
病気が進行すると、肺水腫や胸水貯留による呼吸困難や、大動脈血栓塞栓症という重度の痛みを伴う致死的な病態を引き起こします。
現在根治療法は見つかっておらず、薬によって病気の進行を遅らせたり血栓生成を予防する治療をおこないます。
左心室で血液を溜め込むことが出来なくなっていくため、心室の拡張障害を起こします。
猫ちゃんでの発生率が高く、6〜12ヵ月齢で4.3%、9歳以上になると29.4%の猫ちゃんが肥大型心筋症に罹患していると言われています。
病気が進行すると、肺水腫や胸水貯留による呼吸困難や、大動脈血栓塞栓症という重度の痛みを伴う致死的な病態を引き起こします。
現在根治療法は見つかっておらず、薬によって病気の進行を遅らせたり血栓生成を予防する治療をおこないます。


正常な心臓(LV:左心室 RV:左心房)
正常な心臓と比べて特に自由壁(画像下側)の
心筋が厚く、形態が異常なのが分かる
心筋が厚く、形態が異常なのが分かる
肺水腫
左心系のうっ血により肺血管から水が漏れ出ることで発生します。
肺に水が貯留する状態で呼吸困難を呈します。利尿薬の投与などにより肺水腫の改善を図りますが、死に至る可能性のある危険な病態です。
呼吸が速く苦しそうな状態や、酸素不足によるチアノーゼ(舌の色が青紫になる状態)になっていると危険ですので、すぐに動物病院にかかってください。
肺に水が貯留する状態で呼吸困難を呈します。利尿薬の投与などにより肺水腫の改善を図りますが、死に至る可能性のある危険な病態です。
呼吸が速く苦しそうな状態や、酸素不足によるチアノーゼ(舌の色が青紫になる状態)になっていると危険ですので、すぐに動物病院にかかってください。
同一のわんちゃんのレントゲン画像




左:正常な肺の画像 右:肺水腫の肺の画像
側方向像も背腹方向像も特に後葉(肺の後ろの領域)が白くなっており、肺水腫の所見を認める






